Estado del Tiempo
Tendencia

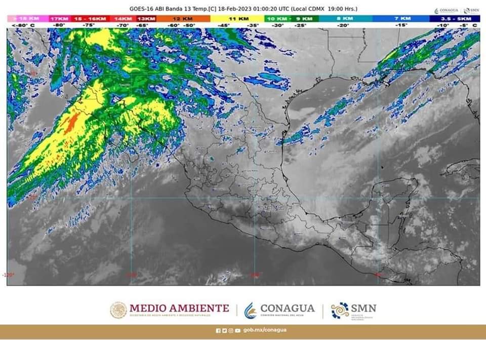
El  Frente Frío Núm. 33 ocasionará lluvias torrenciales en Chiapas, Tabasco e intensas en Oaxaca y Veracruz

Para las próximas horas se pronostican lluvias puntuales torrenciales (de 150 a 250 milímetros [mm]) en regiones de Chiapas y Tabasco, intensas (de 75 a 150 mm) en zonas de Oaxaca y Veracruz, muy fuertes (de 50 a 75 mm) en Campeche, fuertes (de 25 a 50 mm) en Puebla, Quintana Roo y Yucatán, intervalos de chubascos (de 5 a 25 mm) en Baja California Sur, Chihuahua y Sonora, así como lluvias aisladas (0.1 a 5 mm) en Baja California, Coahuila, Durango, Estado de México, Guerrero, Hidalgo, Nuevo León, Sinaloa y Tamaulipas.

Asimismo, se mantendrá el evento de Norte con rachas de viento de 100 a 120 kilómetros por hora (km/h) en el Istmo y Golfo de Tehuantepec, con rachas de 90 a 110 km/h en Veracruz, y con rachas de 60 a 80 km/h en Campeche, Tabasco, Tamaulipas y Yucatán.

Asimismo, se estima viento con rachas de 50 a 70 km/h en el Golfo de California, y con posibles tolvaneras en Baja California, Chihuahua, Coahuila, Durango, Nuevo León, San Luis Potosí, Sonora y Zacatecas.

Por otra parte, persistirá el ambiente de frío a muy frío con heladas y posible caída de nieve, aguanieve o lluvia engelante en las sierras de Chihuahua, Durango y Sonora, en entidades del noroeste, norte, noreste, centro y oriente de la República Mexicana, así como bancos de niebla en la Sierra Madre Oriental.

Las condiciones descritas serán generadas por el Frente Frío Número 33, que se extenderá sobre el sureste mexicano y la Península de Yucatán, su masa de aire frío, el arrastre de humedad generado por las corrientes en chorro polar y subtropical, y el ingreso de humedad proveniente del Océano Pacífico.

Pronóstico para mañana

Se pronostican lluvias puntuales intensas en regiones de Chiapas, Tabasco y Veracruz; muy fuertes en zonas de Oaxaca; fuertes en Campeche; intervalos de chubascos en Chihuahua, Quintana Roo, Sonora y Yucatán, y lluvias aisladas en Baja California, Baja California Sur, Durango y Sinaloa.

Mostrar más

Deja una respuesta

Tu dirección de correo electrónico no será publicada. Los campos obligatorios están marcados con *

Botón volver arriba