Estado del Tiempo
Tendencia

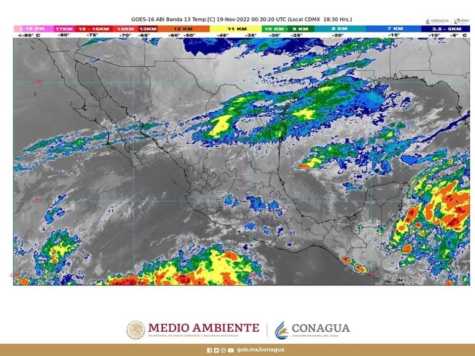
El sistema frontal número 9 mantendrá lluvias torrenciales en Tabasco, Chiapas y Oaxaca

El sistema frontal número 9 se mantendrá con características de estacionario sobre la Península de Yucatán y sur del Golfo de México, y en interacción con canal de baja presión, originará lluvias torrenciales (de 150 a 250 milímetros [mm]) en Tabasco, intensas (de 75 a 150 mm) en Chiapas; muy fuertes (de 50 a 75 mm) en Quintana Roo, el sur de Veracruz y Yucatán, y fuertes (de 25 a 50 mm) en Campeche, el oriente de Oaxaca y Tamaulipas.

La masa de aire frío asociada al sistema frontal, mantendrá densos bancos de niebla en la Sierra Madre Oriental, así como evento de Norte muy fuerte con rachas de 70 a 80 kilómetros por hora (km/h) en Chiapas y Oaxaca, y rachas de 50 a 70 km/h en costas de Tabasco, Tamaulipas y Veracruz, condición que disminuirá durante la noche.

El nuevo Frente Frío Número 10 sobre la frontera norte de México, interacciona con las corrientes en chorro subtropical y polar, lo que ocasiona vientos fuertes con rachas de 50 a 60 km/h y tolvaneras en Chihuahua, Coahuila y Durango, y lluvias fuertes en Nuevo León y Tamaulipas.

Por otra parte, el ingreso de humedad del Océano Pacífico y Golfo de México, ocasionará chubascos dispersos (de 5 a 25 mm) acompañados de descargas eléctricas y posible caída de granizo en la Ciudad de México, Estado de México, Guerrero, Michoacán y Morelos.

Las precipitaciones podrían provocar deslaves, incremento en los niveles de ríos y arroyos, desbordamientos e inundaciones en zonas bajas, por lo que se exhorta a la población a atender los avisos del Servicio Meteorológico Nacional (SMN), de la Comisión Nacional del Agua (Conagua), y seguir las indicaciones de las autoridades estatales, municipales y de Protección Civil.

Mostrar más

Deja una respuesta

Tu dirección de correo electrónico no será publicada. Los campos obligatorios están marcados con *

Botón volver arriba