leana ocasionará lluvias de fuertes a torrenciales, vientos, oleaje y posibles trombas marinas, en el noroeste de México

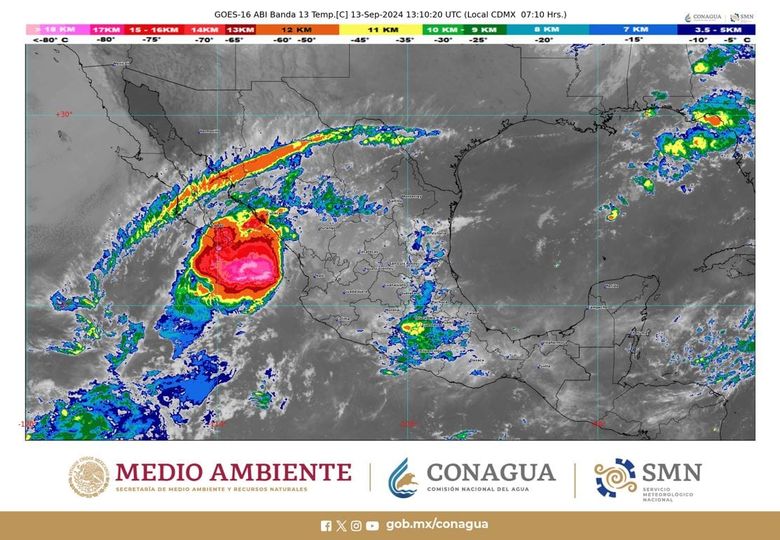
Para este viernes se prevé que el centro de la tormenta tropical Ileana impacte sobre el sur de la península de Baja California; el sistema ocasionará lluvias puntuales torrenciales (de 150 a 250 milímetros [mm]) en Baja California Sur; intensas (de 75 a 150 mm) en zonas de Sinaloa y Sonora; muy fuertes (de 50 a 75 mm) en Durango y fuertes (de 25 a 50 mm) en Chihuahua y el norte de Nayarit.
Asimismo, se pronostican vientos con rachas de 70 a 90 kilómetros por hora (km/h) y oleaje de 2 a 4 metros (m) de altura en costas de Baja California Sur, incluyendo el sur del golfo de California, con posible formación de trombas marinas; rachas de viento de 50 a 70 km/h y oleaje de 1 a 3 m de altura en costas de Sinaloa y Sonora, además de posibles tolvaneras en zonas de Baja California, y rachas de 40 a 60 km/h en costas de Jalisco, con oleaje de 1 a 2 metros de altura en el litoral de Nayarit.
Las lluvias serán acompañadas de descargas eléctricas, rachas fuertes de viento y caída de granizo; las de mayor intensidad podrían generar deslaves, incremento en niveles de ríos y arroyos, así como desbordamientos e inundaciones en zonas bajas de los estados mencionados, por lo que se exhorta a la población a atender los avisos del Servicio Meteorológico Nacional (SMN), de la Comisión Nacional del Agua (Conagua), seguir las recomendaciones de Protección Civil y extremar precauciones ante las condiciones de lluvias, viento y oleaje elevado.
A las 06:00 horas, tiempo del centro de México, el centro de Ileana se localizó aproximadamente a 155 kilómetros (km) al sureste de Cabo San Lucas, Baja California Sur, y a 310 km al suroeste de Mazatlán, Sinaloa, con vientos máximos sostenidos de 75 km/h, rachas de 95 km/h y desplazamiento al nor-noroeste a 17 km/h.
Se mantiene zona de prevención por efectos de tormenta tropical desde Santa Fe hasta San Evaristo, Baja California Sur, y zona de vigilancia por efectos de tormenta tropical desde San Evaristo hasta Loreto, también en Baja California Sur, y desde Topolobampo, Sinaloa, hasta Huatabampito, Sonora.
Por otra parte, se prevén lluvias puntuales muy fuertes en regiones de Chiapas, Ciudad de México, Estado de México, Guanajuato, Hidalgo, Nuevo León, Oaxaca, Puebla, Querétaro, San Luis Potosí, Tlaxcala y Veracruz; fuertes en zonas de Aguascalientes, Coahuila, Guerrero, Jalisco, Michoacán, Morelos Tamaulipas y Zacatecas; intervalos de chubascos (de 5 a 25 mm) en Campeche, Colima y Tabasco, así como lluvias aisladas (de 0.1 a 5 mm) en Baja California, Quintana Roo y Yucatán. Estas precipitaciones también se acompañarán de descargas eléctricas, rachas fuertes de viento y caída de granizo.
Rachas de viento de 40 a 60 km/h se pronostican en zonas de Chiapas, Ciudad de México, Coahuila, Durango, Estado de México, Jalisco, Nuevo León y Tamaulipas.
Estas condiciones serán generadas por la onda tropical número 22 que se desplazará lentamente sobre el sureste mexicano, el ingreso de aire húmedo proveniente del océano Pacífico, golfo de México y mar Caribe, canales de baja presión extendidos sobre diferentes regiones de la República Mexicana e inestabilidad en niveles altos de la atmósfera.
Se prevén temperaturas mínimas al amanecer de 0 a 5 grados Celsius en zonas montañosas de Chihuahua, Durango y Estado de México.
En contraste, se pronostican temperaturas máximas de 35 a 40 grados en Baja California, Campeche, Chiapas, Coahuila, Nuevo León, Quintana Roo, Sonora, Tabasco, Tamaulipas y Yucatán, y de 30 a 35 grados en Baja California Sur, Chihuahua, Colima, Durango, Guerrero, Jalisco, Michoacán, Nayarit, Oaxaca, San Luis Potosí, Sinaloa, Veracruz y Zacatecas.




