Se prevén lluvias puntuales intensas en Chiapas, Oaxaca, Tabasco y Veracruz

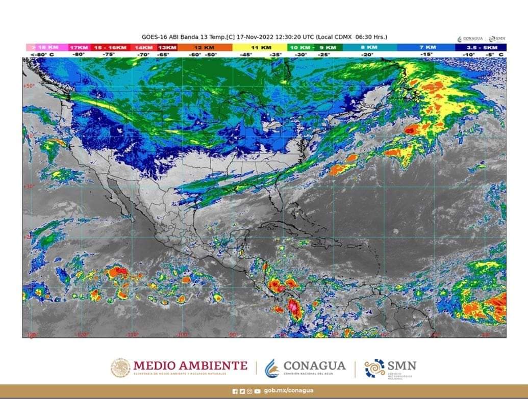
Este jueves se pronostican lluvias puntuales intensas (de 75 a 150 milímetros [mm]) en Chiapas, oriente de Oaxaca, Tabasco y el sur de Veracruz; fuertes (de 25 a 50 mm) en sitios de Campeche, Tamaulipas y Yucatán; intervalos de chubascos (de 5 a 25 mm) en Estado de México, Guerrero, Hidalgo, Michoacán, Nuevo León, Puebla, Quintana Roo y San Luis Potosí; así como lluvias aisladas (de 0.1 a 5 mm) en Ciudad de México, Coahuila, Guanajuato, Jalisco, Morelos, Querétaro y Tlaxcala.
Las lluvias pronosticadas podrían acompañarse de descargas eléctricas y vientos fuertes, además de generar deslaves, incremento en niveles de ríos y arroyos, desbordamientos e inundaciones en zonas bajas de los estados mencionados.
Asimismo, se prevé evento de Norte con rachas de 70 a 90 kilómetros por hora (km/h) y oleaje de 3 a 5 metros (m) de altura en costas de Tamaulipas, Veracruz, Istmo y Golfo de Tehuantepec, y con rachas de 60 a 70 km/h y oleaje de 2 a 4 m de altura en el litoral de Tabasco.
Adicionalmente, se pronostica viento con rachas de 60 a 70 km/h en el Golfo de California y con tolvaneras en Baja California. En Campeche, Baja California Sur, Sonora y Yucatán, se espera viento con rachas de 40 a 50 km/h.
Continúa el ambiente de frío a muy frío en zonas de los estados de la Mesa del Norte, Mesa Central, noreste y oriente del territorio nacional, se pronostica ambiente gélido con temperaturas de -10 a -5 grados Celsius y heladas en las sierras de Chihuahua, Coahuila, Durango y Sonora.
Se prevén temperaturas de -5 a 0 grados Celsius y heladas en zonas montañosas de Baja California, Nuevo León y Zacatecas, y de 0 a 5 grados Celsius con posibles heladas en sitios altos de Aguascalientes, Estado de México, Guanajuato, Hidalgo, Jalisco, Michoacán, Oaxaca, Puebla, San Luis Potosí, Tamaulipas, Tlaxcala y Veracruz.
En contraste, se pronostican temperaturas máximas de 35 a 40 grados Celsius en Campeche, Guerrero, Jalisco, Michoacán, Nayarit y Sinaloa, y de 30 a 35 grados Celsius en el sur de Chiapas, Colima, costas de Oaxaca, Quintana Roo y Yucatán.
El sistema frontal número 9, que se extenderá con características de estacionario desde el oriente del Golfo de México hasta el sur de Veracruz, en interacción con un canal de baja presión en el sureste del país, la masa de aire frío asociada al sistema, la cual será reforzada por una nueva masa de aire frío, y el ingreso de humedad del Océano Pacífico y Golfo de México, son los sistemas meteorológicos que generarán los efectos antes mencionados.




