Se pronostican lluvias muy fuertes para Guanajuato, Jalisco, Michoacán, Nayarit, Sinaloa y Sonora

En las próximas horas, un canal de baja presión extendido sobre el occidente y centro de México, en combinación con la entrada de humedad generada por el huracán Estelle, propiciará lluvias puntuales muy fuertes (de 50 a 75 milímetros [mm]) en Guanajuato, Jalisco, Michoacán y Nayarit; fuertes (de 25 a 50 mm) en Aguascalientes, Estado de México, Guerrero, Hidalgo, Puebla Querétaro y Zacatecas; chubascos (de 5 a 25 mm) en Baja California, Ciudad de México, Colima, Morelos y Tlaxcala, y lluvias aisladas (de 0.1 a 5 mm) en Baja California Sur.
Por otra parte, la Onda Tropical Número 13 se desplazará lentamente sobre el sureste de la México, y ocasionará lluvias puntuales fuertes en zonas de Chiapas y Oaxaca, así como chubascos en Campeche, Quintana Roo, Tabasco y Yucatán.
El Monzón mexicano continuará sobre el noroeste de México y, combinado con inestabilidad en niveles altos de la atmósfera, mantendrá condiciones para lluvias muy fuertes sobre regiones de Sinaloa y Sonora, y fuertes en Chihuahua y Durango.
Las lluvias mencionadas, que serán con descargas eléctricas, rachas de viento y posible granizo, podrían generar deslaves, incremento en los niveles de ríos y arroyos, desbordamientos e inundaciones en zonas bajas, por lo que se exhorta a la población a atender los avisos del Servicio Meteorológico Nacional, de la Comisión Nacional del Agua, y seguir las indicaciones de las autoridades estatales y municipales de Protección Civil.
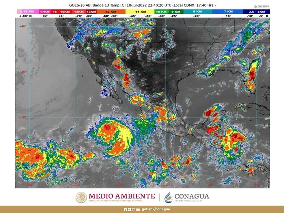
Esta tarde, el huracán Estelle, de categoría 1 en la escala Saffir-Simpson, se localizó aproximadamente a 590 kilómetros (km) al sur-suroeste de Cabo San Lucas, Baja California Sur. Tuvo vientos máximos sostenidos de 130 Kilómetros por hora (km/h), rachas de 155 km/h y desplazamiento hacia el oeste-noroeste 22 km/h. Continúa alejándose del territorio mexicano.




